Basics
- Date added: Added 5 months ago
- Year built: 1986
Description
-
Description:
PROPERTY OVERVIEW
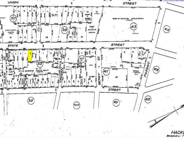
Situated in the vibrant heart of Hackensack, New Jersey, 270 State Street offers a dynamic location with excellent accessibility and urban convenience. This property is ideally positioned near the Hackensack University Medical Center, public transportation, and a variety of dining and retail options. Whether envisioned for residential, professional, or mixed-use purposes, the site benefits from its proximity to major highways and the bustling downtown district. Its central location within Bergen County makes it a strategic choice for those seeking connectivity, visibility, and community amenities in one of North Jersey’s most active corridors.
Show all description- Air Conditioning
ALL AVAILABLE SPACES(2)
SPACE SIZE TERM SPACE USE CONDITION AVAILABLE 1st Floor 1,500 SF 1-30 Years Office Full Build-Out Now - Listed rate may not include certain utilities, building services and property expenses
- 8 Private Offices
- 5 Workstations
- Smoke Detector
- Fully Built-Out as Standard Office
- 2 Conference Rooms
- Central Air and Heating
1st Floor 2,100 SF 1-30 Years Office - Now